Τετάρτη
04 Φεβρουαρίου 2026

Γαλλικό υποβρύχιο από τον Α' Παγκόσμιο Πόλεμο εντοπίστηκε στον Θερμαϊκό (Photos)

Viral

Ένα γαλλικό υποβρύχιο που βυθίστηκε εντοπίστηκε κατά τον Α' Παγκόσμιο Πόλεμο εντοπίστηκε στον Θερμαϊκό. 

Το γαλλικό υποβρύχιο FLOREAL που βυθίστηκε το 1918 κατά τον Α΄ Παγκόσμιο Πόλεμο στον Θερμαϊκό Κόλπο, εντόπισε η ομάδα υποβρυχίων ερευνών του Κώστα Θωκταρίδη σε βάθος 98 μέτρων στα διεθνή χωρικά ύδατα.

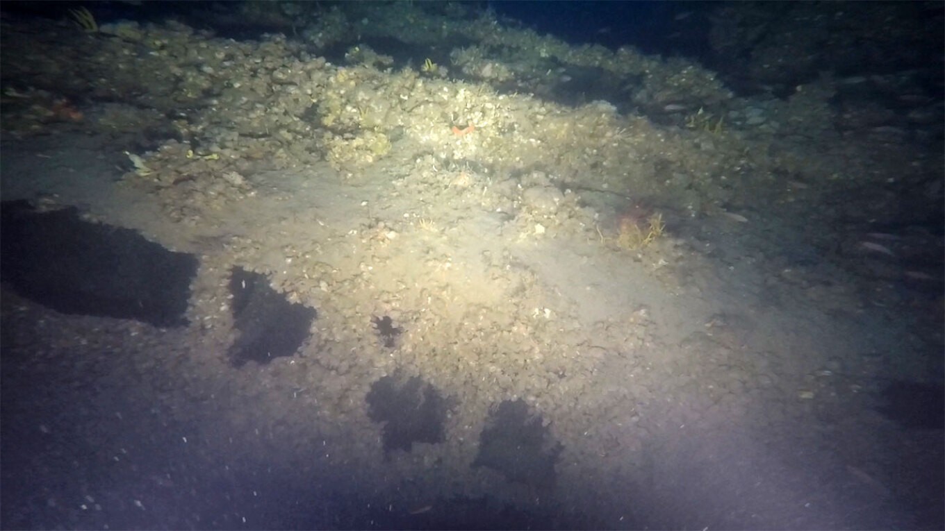
«Στην περιοχή του ναυαγίου υπήρχαν πολύ ισχυρά υποβρύχια ρεύματα και χαμηλή ορατότητα, χαρακτηριστικά της περιοχής. To υποβρύχιο έχει ακουμπήσει στον λασπώδη βυθό του Θερμαϊκού με ελαφριά δεξιά κλίση και έχει έμπρωρη διαγωγή (ελαφρά κλίση προς τα εμπρός). Τα περισκόπια του είναι κατεβασμένα. Τα πηδάλια βάθους και κατεύθυνσης είναι στην θέση 0, ενώ στην πλώρη του υποβρυχίου έχει πιαστεί ένας σάκος διχτυού από ανεμότρατα. Διακρίνεται η βάση του πυροβόλου 65 χιλιοστών, καθώς και οι εκτοξευτές τορπιλών. Η μια από τις ανθρωποθυρίδες παραμένει ακόμα και σήμερα μισάνοιχτη», αναφέρει ο γνωστός ερευνητής.

Πρόκειται για το 6ο ναυάγιο υποβρυχίου που εντοπίζει και ταυτοποιεί η ομάδα. Η πρύμνη με το χαρακτηριστικό σχήμα. Διακρίνεται ανοικτή η θυρίδα επιθεώρησης του μηχανισμού του πηδαλίου.

Γαλλικό υποβρύχιο από τον Α' Παγκόσμιο Πόλεμο εντοπίστηκε στον Θερμαϊκό

Εξαεριστικός σωλήνας

Ιδιαίτερα το FLOREAL θεωρείται ένα σπάνιο με ιδιαίτερη ναυπηγική και σχεδιασμό ατμοκίνητο υποβρύχιο.

H κλάση υποβρυχίων Pluviose του Γαλλικού Ναυτικού, στην οποία ανήκε και το FLOREAL, ήταν ουσιαστικά η πρώτη κλάση υποβρυχίων με πολεμικές δυνατότητες που μπήκε σε μαζική ναυπήγηση (1907-1910). Το FLOREAL καθελκύστηκε στις 18 Απριλίου 1907 στο Χερβούργο (Cherbourg).

Σχεδιασμένο από τον καινοτόμο Γάλλο μηχανικό Maxime Laubeuf ήταν ένα αξιόπλοο και αξιόμαχο για την εποχή σκάφος, με μέγιστη εμβέλεια 1390 ναυτικών μιλίων στην επιφάνεια με ταχύτητα 8,5 κόμβων και μέγιστη ταχύτητα τους 12 κόμβους και οπλισμό 8 τορπιλών. Με διαστάσεις 51μέτρα μήκος και 5 μέτρα πλάτος και εκτόπισμα 553 τόνους σε κατάδυση και 404 τόνους στην επιφάνεια, διέθετε ενδιαιτήσεις για 25 μέλη πληρώματος.

«Στην κλάση Pluviôse - στην οποία ανήκε το FLOREAL- ενσωματώθηκαν δύο πρωτοποριακές ιδέες του σχεδιαστή της Maxime Laubeuf. Το διπλό κύτος και το διπλό σύστημα πρόωσης (δύο ατμομηχανές για τον πλου στην επιφάνεια και δύο ηλεκτροκινητήρες για τον πλου εν καταδύσει)», εξηγεί ο αξιωματικός του Πολεμικού Ναυτικού και ερευνητής Σπύρος Βουγίδης.

Γαλλικό υποβρύχιο από τον Α' Παγκόσμιο Πόλεμο εντοπίστηκε στον Θερμαϊκό

Με την έναρξη του πολέμου το FLOREAL εντάχθηκε στις γαλλικές μοίρες της Μάγχης, με κύρια αποστολή την ανθυποβρυχιακή περιπολία. Οι ανάγκες του πολέμου το έφεραν στη Μεσόγειο και τη Θεσσαλονίκη την άνοιξη του 1918, όταν η συνθηκολόγηση της Ρωσίας άφηνε ασαφή την τύχη του Ρωσικού Στόλου της Μαύρης Θάλασσας και υπήρξε ο κίνδυνος εξόδου του στη Μεσόγειο υπό γερμανική διοίκηση.

Τα ξημερώματα της 2/8/1918, το FLOREAL με τη συνοδεία του αντιτορπιλικού BALLISTE απέπλευσε από τη Θεσσαλονίκη με προορισμό την Πάτρα. Ο καιρός ήταν καθαρός και η ορατότητα καλή. Το αντιτορπιλικό βρίσκονταν 400 μέτρα πίσω από το υποβρύχιο. Την ίδια ώρα στον Θερμαϊκό εισέπλεε το βρετανικό φορτηγό ατμόπλοιο MAGDA με τη συνοδεία του επίτακτου πλοίου νηοψίας HMS HAZEL. Το MAGDA βρίσκονταν μπροστά, ενώ το HMS HAZEL ακολουθούσε εκτελώντας συνεχές ζικ-ζακ (ελίγδην) σαν απαραίτητο ανθυποβρυχιακό αντίμετρο. Στις 01:30 κι ενώ βρίσκονταν πρύμνηθεν και αριστερά από το MAGDA, το HMS HAZEL εντόπισε τη σιλουέτα του μικρού υποβρυχίου πρώραθεν και δεξιά του σε απόσταση 100 μέτρων.

Γαλλικό υποβρύχιο από τον Α' Παγκόσμιο Πόλεμο εντοπίστηκε στον Θερμαϊκό

Η σύγκρουση ήταν αναπόφευκτη κι ένα λεπτό αργότερα το HMS HAZEL εμβόλισε το FLOREAL. Το BALISTE έσπευσε αμέσως σε βοήθεια του χτυπημένου υποβρυχίου και προσπάθησε να το ρυμουλκήσει πίσω στη Θεσσαλονίκη. Η εισροή ύδατος στο υποβρύχιο ήταν μεγάλης έκτασης κι έτσι κρίθηκε προτιμότερο να κατευθυνθούν προς την πλησιέστερη ακτή της Χαλκιδικής. Παρόλες τις προσπάθειες όμως το υποβρύχιο τελικά βυθίστηκε στις 03:25, στο Θερμαϊκό Κόλπο αφού πρώτα εγκαταλείφθηκε επιτυχώς από όλο του το πλήρωμα.

Γαλλικό υποβρύχιο από τον Α' Παγκόσμιο Πόλεμο εντοπίστηκε στον Θερμαϊκό

106 χρόνια μετά τη βύθιση ο εντοπισμός του υποβρυχίου

Η αρχειακή έρευνα για το γαλλικό υποβρύχιο, σε πρωτογενείς πηγές των γαλλικών και βρετανικών αρχείων, ξεκίνησε τον Μάρτιο του 2014. Λίγο πριν από την εκπνοή του 2023 η ομάδα κατά τη διάρκεια εργασιών για τον εντοπισμό απολεσθείσας άγκυρας άλλου πλοίου, βρέθηκε κοντά στην περιοχή που είχε χαθεί το υποβρύχιο. Ευκαιρίας δοθείσης, μετά την ολοκλήρωση των εργασιών, ακολούθησε υδρογράφηση μέσω ηχοβολιστικού με βάση τα στοιχεία που είχαν προκύψει τόσο από την ιστορική έρευνα όσο και από την αξιοποίηση πληροφοριών από τους ντόπιους επαγγελματίες ψαράδες.

Εντοπίστηκε στόχος με διαστάσεις παρόμοιες με το υπό αναζήτηση υποβρύχιο και ακολούθησε αναγνώριση με μη επανδρωμένο υποβρύχιο όχημα ROV (Remote Operated Vehicle). Τα αποτελέσματα ήταν θετικά και για πρώτη φορά στις ελληνικές θάλασσες εντοπίστηκε και ταυτοποιήθηκε ναυάγιο υποβρυχίου του Α΄ Παγκοσμίου Πολέμου. Πρόκειται για το ατμοκίνητο γαλλικό υποβρύχιο FLOREAL το οποίο κείτεται σε βάθος 98 μέτρων σε διεθνή χωρικά ύδατα.

Στις πρώτες εικόνες που εμφανίστηκαν στα μόνιτορ του υποβρύχιου τηλεκατευθυνόμενου οχήματος καταγράφηκε το περίγραμμα της πρύμνης του FLOREAL με το χαρακτηριστικό ναυπηγικό του σχέδιο.

Το ναυάγιο είναι ατόφιο και διατηρείται σε εξαιρετική κατάσταση. 

Γαλλικό υποβρύχιο από τον Α' Παγκόσμιο Πόλεμο εντοπίστηκε στον Θερμαϊκό

Ακολουθήστε το Lykavitos.gr στο Google News
και μάθετε πρώτοι όλες τις ειδήσεις


Διαβάστε ακόμη

Σελήνη του Χιονιού, της Πείνας ή της Αρκούδας: Πότε θα λάμψει η πανσέληνος του Φεβρουαρίου

Η πανσέληνος του Φεβρουαρίου 2026, γνωστή ως «Σελήνη του Χιονιού», αναμένεται να φωτίσει εντυπωσιακά τον νυχτερινό ουρανό στις αρχές του μήνα, προσφέροντας ένα ξεχωριστό θέαμα σε π...

Είδε το... χρώμα της ζωής στα 61 χρόνια - Η συγκλονιστική αντίδρασή του (βίντεο)

Μια πολύ συγκινητική στιγμή εκτυλίχθηκε στις ΗΠΑ, καθώς ένας 61χρονος άνδρας άρχισε να κλαίει από συγκίνηση, όταν είδε για πρώτη φορά χρώματα, έχοντας λάβει ως χριστουγεννιάτικο δώ...

Φόρτωση άρθρων...